New Search Family, Subfamily and Tribe List

SubFamily Cerambycinae

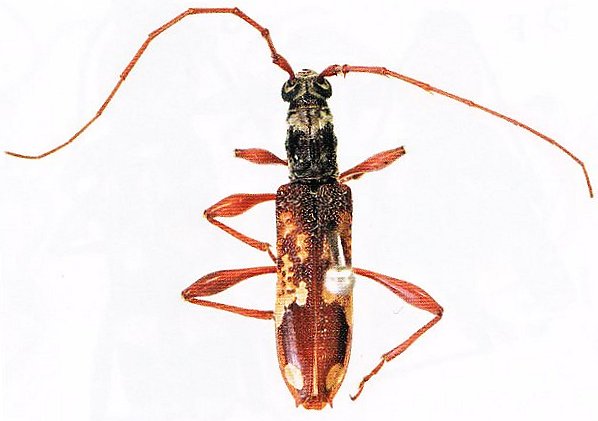
Tribe Phoracanthini
Coptocercus ovaliguttatus Wang 1995

Specimen Type: paratype
Sex: m
Institution: ANIC Australian National Insect Collection, Canberra
Photographer: Slipinski & Escalona
Collection Location: Finsch Haven, Papua New Guinea
61472

130425