_Gressitt_BPBM_Nobuo_Ohbay.jpg)
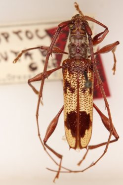
Specimen Type: holotype Sex: m Institution: BPBM Bernice P. Bishop Museum, Honolulu, Hawaii, USA Photographer: Nobuo Ohbayashi Collection Location: above Kabebe, Mt. Otto, near Asaro Valley, Papua New Guinea 43310
|
.jpg)
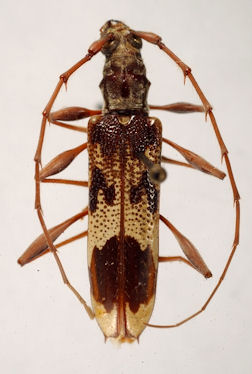
Specimen Type: holotype Sex: m Institution: BPBM Bernice P. Bishop Museum, Honolulu, Hawaii, USA Determiner: Pacific Insects Collection Location: above Kabebe, Mt. Otto, near Asaro Valley, Papua New Guinea 35676
|
_Gressitt_AMNH.jpg)
Specimen Type: paratype Sex: m Institution: BPBM Bernice P. Bishop Museum, Honolulu, Hawaii, USA Collection Location: above Kabebe, Mt. Otto, near Asaro Valley, Papua New Guinea 35675
|
|