2_Pascoe_BMNH_Port_Denison_W_Aust_now_Atesta_Slip_Esc.jpg)
Phoracantha angasii Pascoe Specimen Type: lectotype Sex: m Institution: BMNH British Museum Natural History, London, UK Photographer: Slipinski & Escalona Collection Location: Port Denison, Western Australia 61767
|
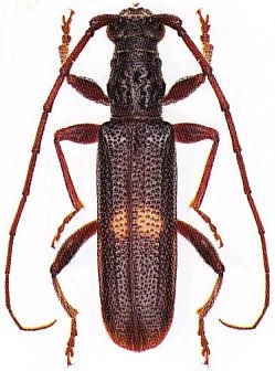
_Carter_MV_Slip_Esc.jpg)
Atesta angasii unicolor Carter Specimen Type: holotype Institution: NMM National Museum of Victoria, Melbourne, Australia Photographer: Slipinski & Escalona Collection Location: Australia 61309
|