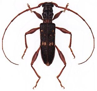
_Hope_OXUM_Swan_River_W_Aust_now_Allotisis_Slip_Esc.jpg)
Coptocercus unifasciatus Hope Specimen Type: holotype Sex: m Institution: OXUM Hope Department of Entomology, Oxford University Museum of Natural History, England Photographer: Slipinski & Escalona Collection Location: Swan River, Western Australia 61494
|
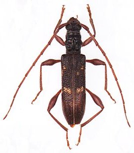
_Blackburn_BMNH_Glungeal_S_Aust_now_Allotisis_unifasc_Slip_Esc.jpg)
Thoris moerens Blackburn Specimen Type: holotype Sex: m Institution: BMNH British Museum Natural History, London, UK Photographer: Slipinski & Escalona Collection Location: Glungeal, Southern Australia 61988
|