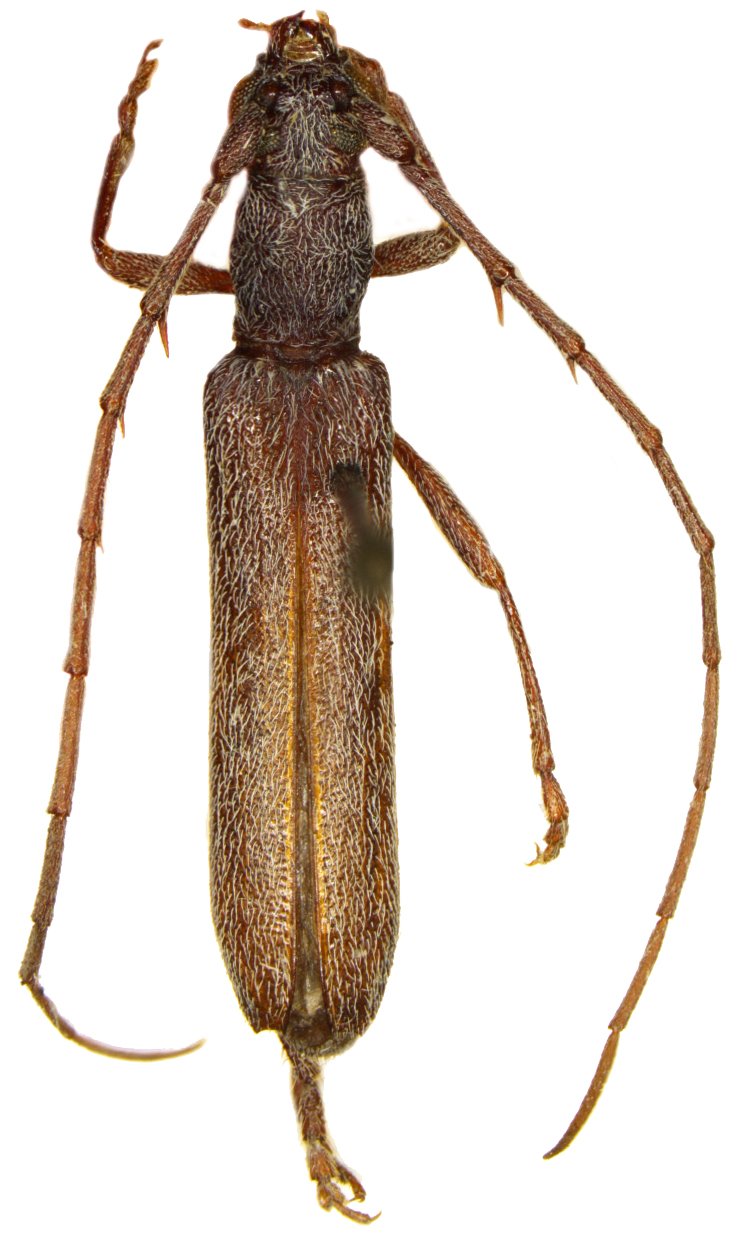
 Casey NMNH Tucson, Arizona SWL.jpg)
Specimen Type: lectotype Sex: m Institution: NMNH United States National Museum, Washington, DC, USA Photographer: Steve Lingafelter Collection Location: Tucson, Pima County, Arizona 25467
|
_Chemsak_CAS_7428_LGB.jpg)
Aneflomorpha citrana Chemsak Specimen Type: holotype Sex: m Institution: CAS California Academy of Sciences, San Francisco, CA, USA Photographer: Larry G. Bezark Collection Location: Tempe, Maricopa County, Arizona 20037
|
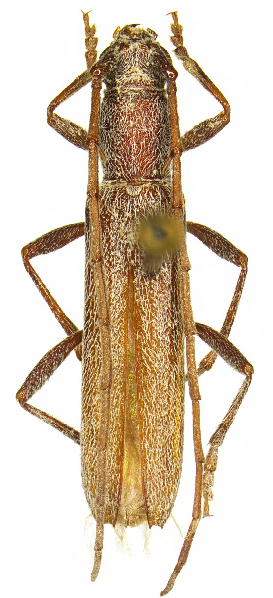
 Chemsak CAS Tempe, Maricopa Co, Arizona now rect SWL.jpg)
Aneflomorpha citrana Chemsak Specimen Type: holotype Sex: m Institution: CAS California Academy of Sciences, San Francisco, CA, USA Photographer: Steve Lingafelter Collection Location: Tempe, Maricopa County, Arizona 80009
|
_Chemsak_Tempe_Ariz_UCB.jpg)
Aneflomorpha citrana Chemsak Specimen Type: paratype Institution: UCB Essig Museum of Entomology, Berkeley, California, USA Photographer: Larry G. Bezark Collection Location: Tempe, Maricopa County, Arizona 226
|
_Linsley_CAS_4001_LGB_=_Aneflomorpha_rectilinea_rectilinea.jpg)
Aneflomorpha duncani Linsley Specimen Type: holotype Sex: m Institution: CAS California Academy of Sciences, San Francisco, CA, USA Photographer: Larry G. Bezark Collection Location: Globe, Gila County, Arizona 22483
|
_Linsley_CAS_4436_LGB_=_Aneflomorpha_rectilinea_rectilinea.jpg)
Aneflomorpha spinicornis Linsley Specimen Type: holotype Sex: m Institution: CAS California Academy of Sciences, San Francisco, CA, USA Photographer: Larry G. Bezark Collection Location: Los Mochis, Sinaloa, Mexico 22486
|

Photographer: Larry G. Bezark 3371
|

Photographer: Steve Lingafelter Determiner: Mem. Ent. Soc. America 242
|
|