New Search Family, Subfamily and Tribe List

SubFamily Cerambycinae

Tribe Hesperophanini
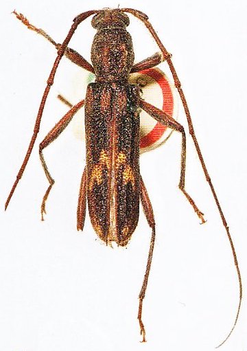
Aesiotyche favosa Pascoe 1865

Specimen Type: holotype
Sex: m
Institution: BMNH British Museum Natural History, London, UK
Photographer: Slipinski & Escalona
Collection Location: S Australia
61256


Photographer: Slipinski & Escalona
61257


Photographer: Slipinski & Escalona
Collection Location: Australia
31304


Collection Location: Australia
31305

130425