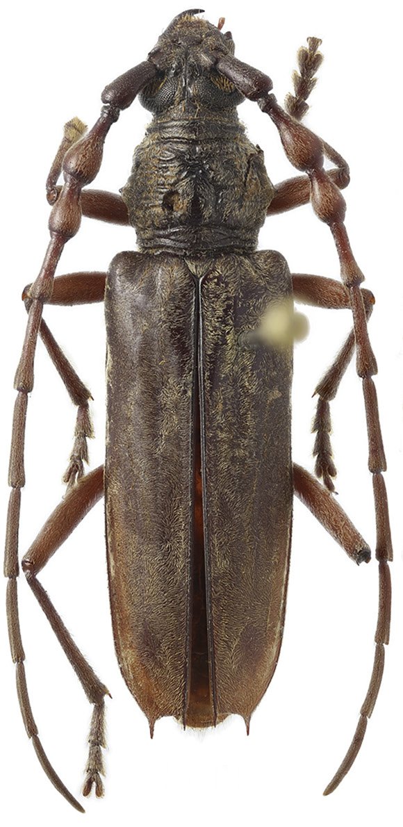
 Newman BMNH Woodside, vic Sydney, New South Wales, Australia Mirosh.jpg)
Specimen Type: holotype Sex: m Institution: BMNH British Museum Natural History, London, UK Photographer: Alexandr Miroshnikov Collection Location: Woodside, vic Sydney, New South Wales, Australia 79467
|
_Newman_BMNH_Woodside_near_Sydmey_NSW_Aust_Slip_Esc.jpg)
Specimen Type: holotype Sex: m Institution: BMNH British Museum Natural History, London, UK Photographer: Slipinski & Escalona Collection Location: Woodside, near Sydney, New South Wales, Australia 61727
|