 LInsley NMNH Cline, Texas now Neaneflus SWL.jpg)
Aneflomorpha opacicornis Linsley Specimen Type: holotype Sex: m Institution: NMNH United States National Museum, Washington, DC, USA Photographer: Steve Lingafelter Collection Location: Cline, Texas 237
|
_Linsley_NMNH_JAC.jpg)
Aneflomorpha opacicornis Linsley Specimen Type: holotype Sex: m Institution: NMNH United States National Museum, Washington, DC, USA Photographer: John Chemsak Collection Location: Cline, Texas 15219
|
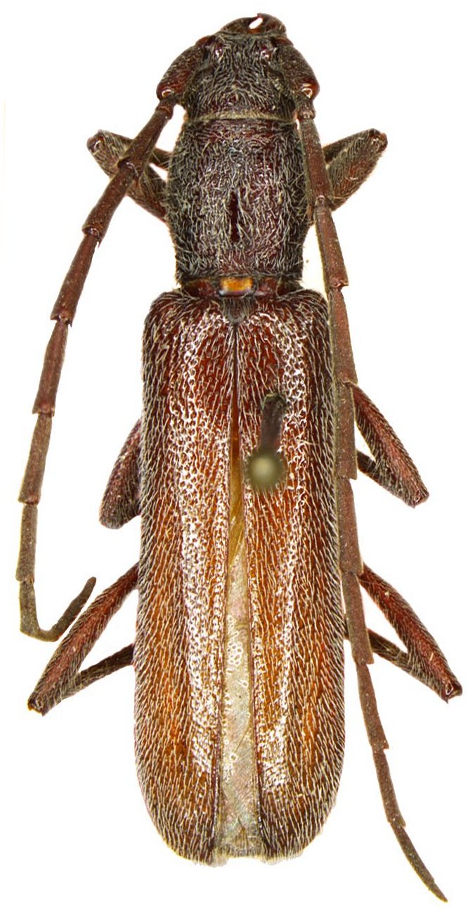
_Chemsak_Zacatecas_UCB.jpg)
Neaneflus brevispinus Chemsak Specimen Type: paratype Institution: UCB Essig Museum of Entomology, Berkeley, California, USA Photographer: Larry G. Bezark Collection Location: Zacatecas, Mexico 10264
|

Institution: CAS California Academy of Sciences, San Francisco, CA, USA Photographer: Larry G. Bezark 238
|

Institution: LGBC Larry G. Bezark Collection, Sacramento, California, USA Photographer: Larry G. Bezark Collection Location: vic Big Bend National Park, Brewster County, Texas 3452
|
|