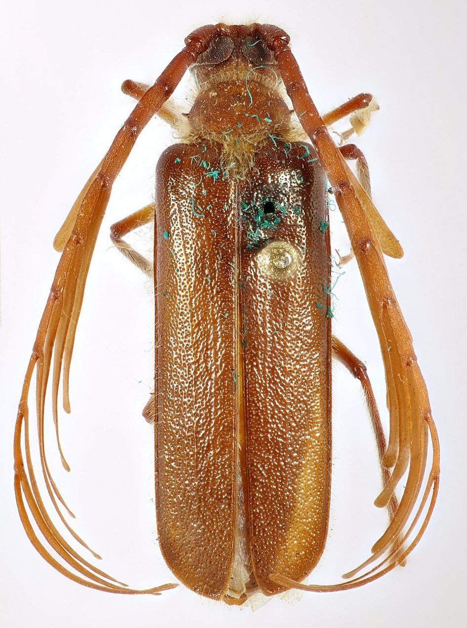
 Waterhouse BMNH Tasmania KM.jpg)
Specimen Type: syntype Sex: m Institution: BMNH British Museum Natural History, London, UK Photographer: Keita Matsumoto Collection Location: Tasmania 78206
|
 Waterhouse BMNH Tasmania KM.jpg)
Specimen Type: syntype Sex: m Institution: BMNH British Museum Natural History, London, UK Photographer: Keita Matsumoto Collection Location: Tasmania 78207
|
 Waterhouse BMNH Tasmania KM.jpg)
Specimen Type: syntype Sex: f Institution: BMNH British Museum Natural History, London, UK Photographer: Keita Matsumoto Collection Location: Tasmania 78208
|
 Waterhouse BMNH Tasmania KM.jpg)
Specimen Type: syntype Sex: f Institution: BMNH British Museum Natural History, London, UK Photographer: Keita Matsumoto Collection Location: Tasmania 78209
|
 Blackburn BMNH Victoria, Australia now aeneip KM.jpg)
Enneaphyllus rossi Blackburn Specimen Type: syntype Sex: m Institution: BMNH British Museum Natural History, London, UK Photographer: Keita Matsumoto Collection Location: Victoria, Australia 78210
|
 Blackburn BMNH Victoria, Australia now aeneip KM.jpg)
Enneaphyllus rossi Blackburn Specimen Type: syntype Sex: m Institution: BMNH British Museum Natural History, London, UK Photographer: Keita Matsumoto Collection Location: Victoria, Australia 78211
|

38761
|
|