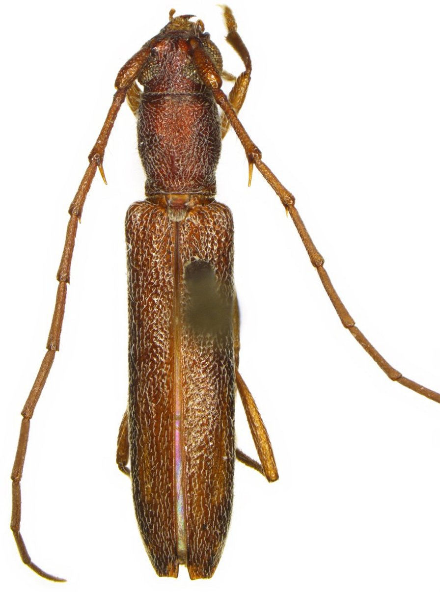
 Chem CAS Brown Canyon, Baboquivari Mountains, Arizona SWL.jpg)
Specimen Type: holotype Institution: CAS California Academy of Sciences, San Francisco, CA, USA Photographer: Steve Lingafelter Collection Location: Brown Canyon, Baboquivari Mountains, Arizona 80012
|
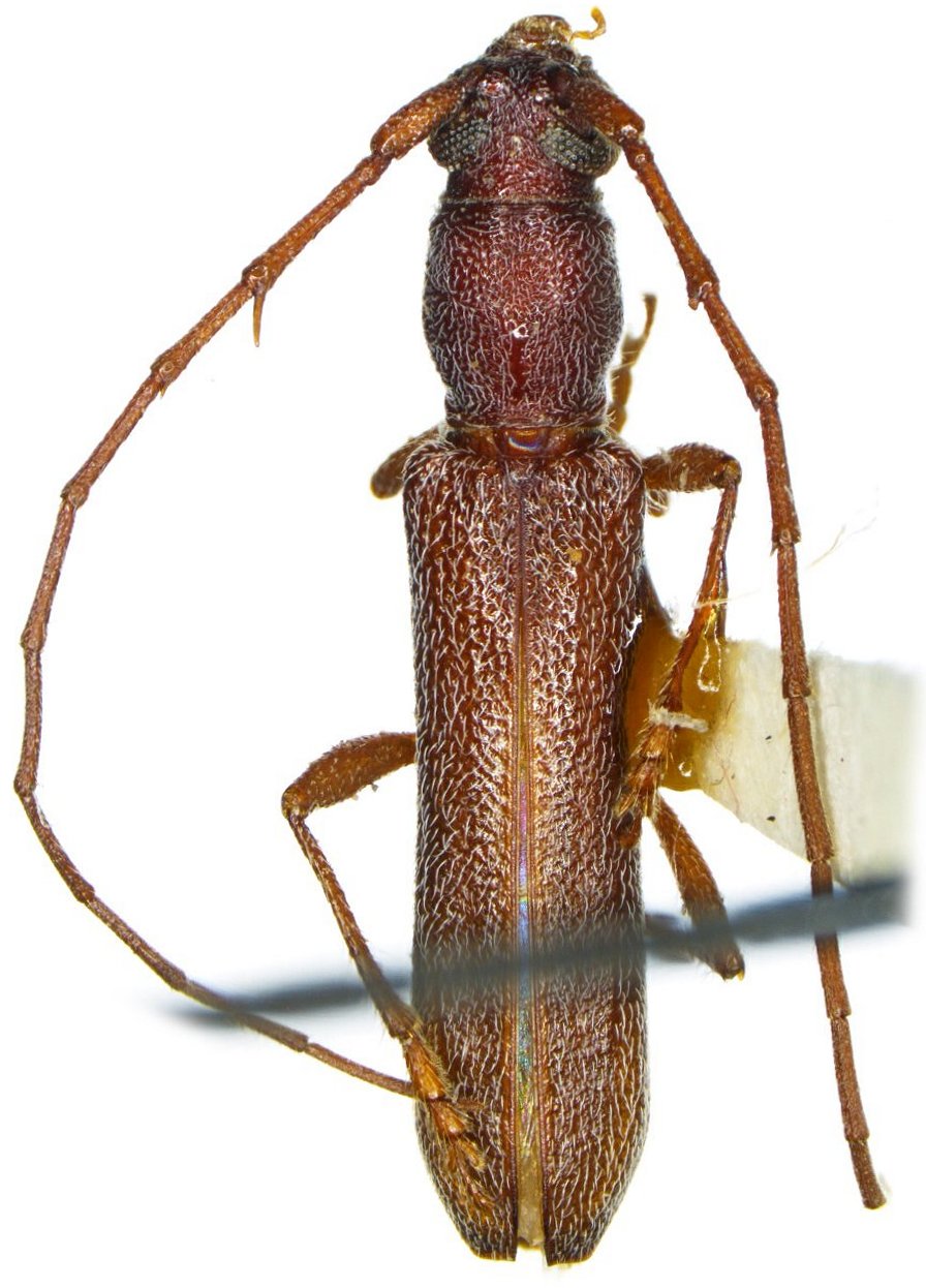
_Chemsak_CAS_7430_LGB.jpg)
Specimen Type: holotype Sex: m Institution: CAS California Academy of Sciences, San Francisco, CA, USA Photographer: Larry G. Bezark Collection Location: Brown Canyon, Baboquivari Mountains, Arizona 20041
|
_Chemsak_Arizona_UCB.jpg)
Specimen Type: paratype Institution: UCB Essig Museum of Entomology, Berkeley, California, USA Photographer: Larry G. Bezark Collection Location: Brown Canyon, Baboquivari Mountains, Arizona 235
|
_Chemsak_CAS.jpg)
Specimen Type: paratype Institution: CAS California Academy of Sciences, San Francisco, CA, USA Photographer: Larry G. Bezark Collection Location: Brown Canyon, Baboquivari Mountains, Arizona 236
|
 Chem EMEC Brown Canyon, Baboquivari Mountains, Arizona SWL.jpg)
Specimen Type: paratype Institution: EMEC Essig Museum of Entomology, Berkeley, CA, USA Photographer: Steve Lingafelter Collection Location: Brown Canyon, Baboquivari Mountains, Arizona 80013
|
 Chem EMEC Brown Canyon, Baboquivari Mountains, Arizona SWL.jpg)
Specimen Type: paratype Institution: EMEC Essig Museum of Entomology, Berkeley, CA, USA Photographer: Steve Lingafelter Collection Location: Brown Canyon, Baboquivari Mountains, Arizona 80014
|
|