_Newman_MV_Australia_Mengjie_Jin.jpg)
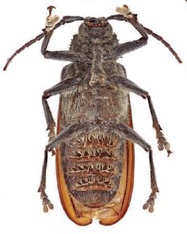
Sex: m Institution: NMM National Museum of Victoria, Melbourne, Australia Photographer: Mengjie Jin Collection Location: Australia 71626
|
_Newman_MV_Australia_Mengjie_Jin.jpg)
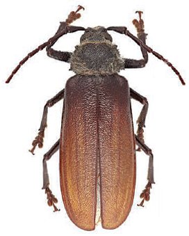
Sex: m Institution: NMM National Museum of Victoria, Melbourne, Australia Photographer: Mengjie Jin Collection Location: Australia 71627
|
_Newman_MV_Vivonne_Bay_South_Australia_Mengjie_Jin.jpg)
Sex: f Institution: NMM National Museum of Victoria, Melbourne, Australia Photographer: Mengjie Jin Collection Location: Vivonne Bay, South Australia 71628
|
|