_Breun_BMNH_Mont_Merinjak_Sarawak_Borneo_JC.jpg)
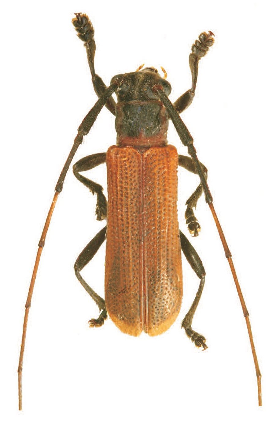
Serixia fumosus peraffinis Breuning Specimen Type: holotype Sex: f Institution: BMNH British Museum Natural History, London, UK Photographer: Jim Cope Collection Location: Mount Merinjak, Sarawak, Borneo 60868
|
_Pascoe_BMNH_Sarawak_Borneo_now_Serixia_JC.jpg)
Xyaste fumosus Pascoe Specimen Type: holotype Institution: BMNH British Museum Natural History, London, UK Photographer: Jim Cope Collection Location: Sarawak, Borneo 60867
|