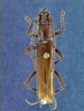
 Champ Knull FMNH Miami, Dade County, Florida now Aneflomorpha SWL.jpg)
Elaphidion delongi Champ Specimen Type: holotype Sex: m Institution: FMNH Field Museum of Natural History, Chicago, IL, USA Photographer: Steve Lingafelter Collection Location: Miami, Dade County, Florida 80018
|
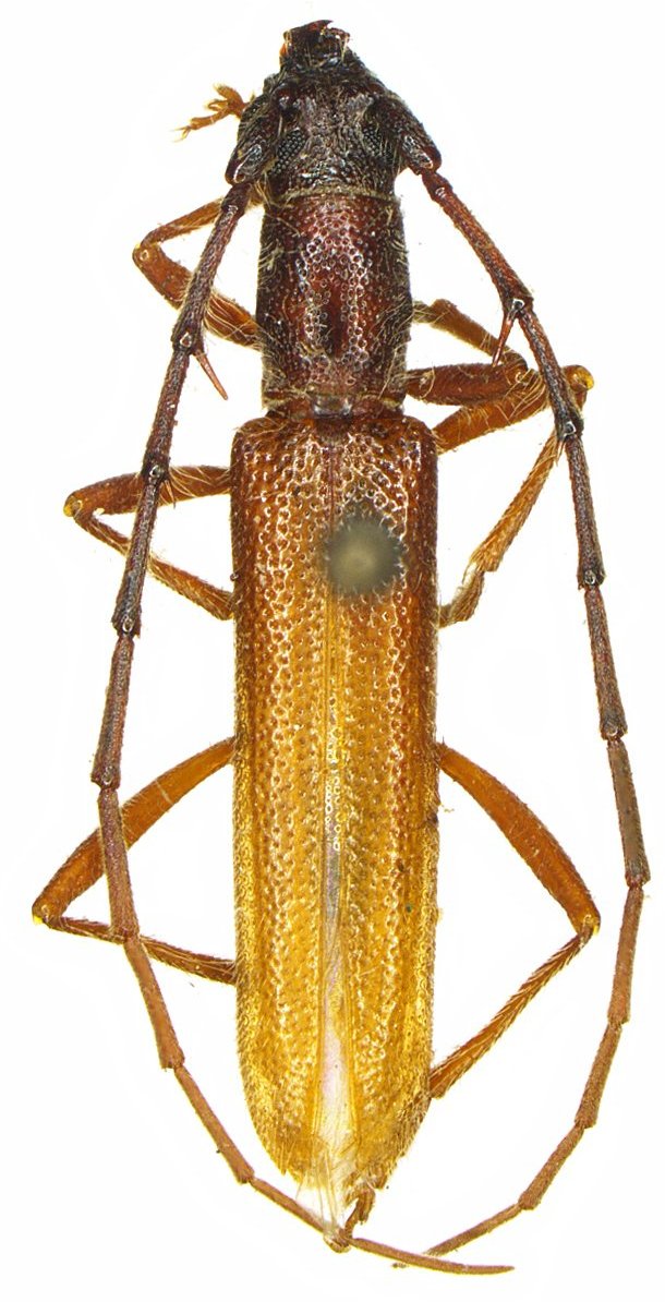
_Archbold_Station_Florida_LGB.jpg)
Photographer: Larry G. Bezark Collection Location: Archbold Station, Florida 228
|
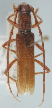
_CAS.jpg)
Institution: CAS California Academy of Sciences, San Francisco, CA, USA Photographer: Larry G. Bezark 229
|
_FSCA.jpg)
Institution: FSCA Florida State Collection of Arthropods, Gainesville, FL, USA Photographer: Mike Thomas 230
|
|