 LeConte MCZ Texas now Aneflomorpha SWL.jpg)
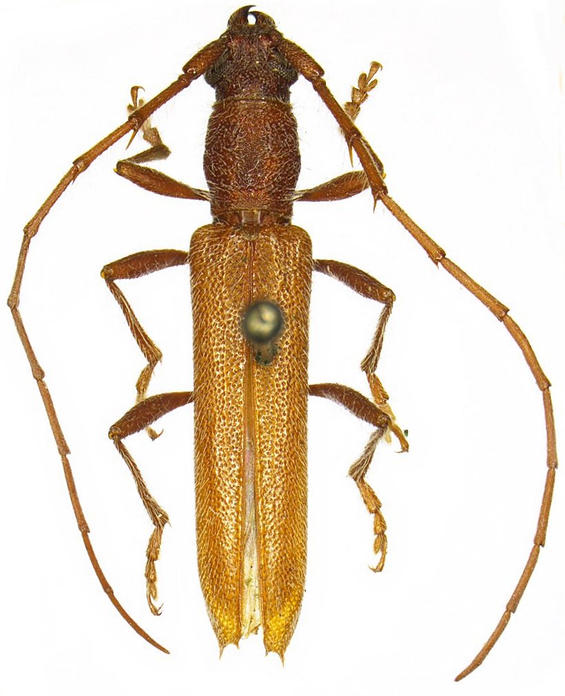
Elaphidion aculeatum LeConte Specimen Type: holotype Sex: m Institution: MCZ Museum of Comparative Zoology, Harvard University, Cambridge, MA, USA Photographer: Steve Lingafelter Collection Location: Texas 80019
|
_UCB.jpg)
Institution: UCB Essig Museum of Entomology, Berkeley, California, USA Photographer: Larry G. Bezark 222
|