_Gilmour_CNC_Santa_Margarita_Hill_Trinidad_Tobago_Amethy.jpg)
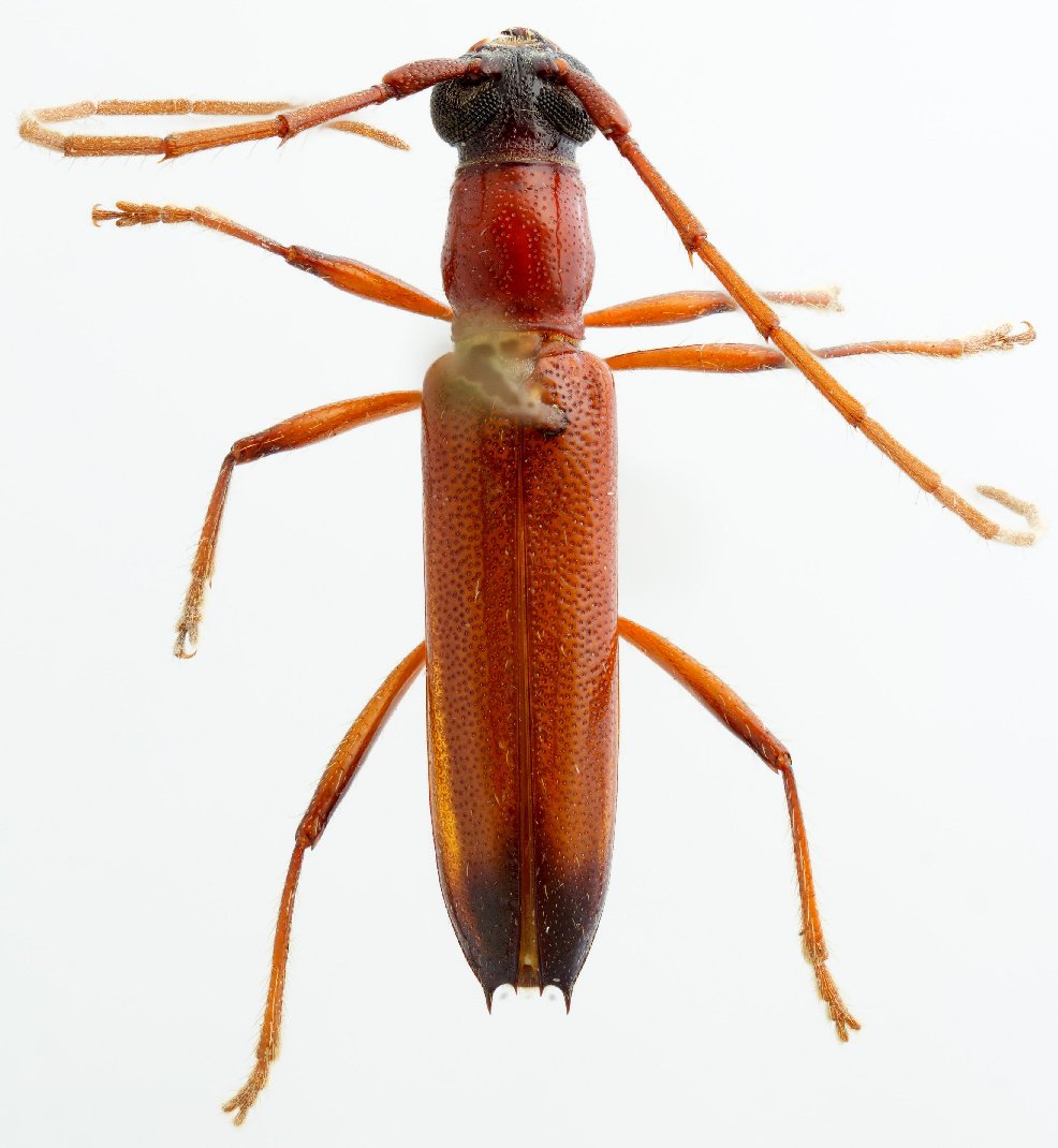
Psyrassa trinidadensis Gilmour Specimen Type: holotype Sex: f Institution: CNC Canadian National Collection of Insects, Ottawa, Ontario, Canada Photographer: Serge Laplante, photograph and data Determiner: Copyright of
Agriculture & Agri Food Canada Collection Location: Santa Margarita Hill, Trinidad, Trinidad & Tobago 63076
|
_Gilmour_CNC_Santa_Margarita_Hill_Trinidad_Tobago_Amethy.jpg)
Psyrassa trinidadensis Gilmour Specimen Type: holotype Sex: f Institution: CNC Canadian National Collection of Insects, Ottawa, Ontario, Canada Photographer: Serge Laplante, photograph and data Determiner: Copyright of
Agriculture & Agri Food Canada Collection Location: Santa Margarita Hill, Trinidad, Trinidad & Tobago 63077
|
_Gilmour_CNC_Santa_Margarita_Hill_Trinidad_Tobago_Amethy.jpg)
Psyrassa trinidadensis Gilmour Specimen Type: holotype Sex: f Institution: CNC Canadian National Collection of Insects, Ottawa, Ontario, Canada Photographer: Serge Laplante, photograph and data Determiner: Copyright of
Agriculture & Agri Food Canada Collection Location: Santa Margarita Hill, Trinidad, Trinidad & Tobago 63078
|
_Gilmour_CNC_Santa_Margarita_Hill_Trinidad_Tobago_Amethy.jpg)
Psyrassa trinidadensis Gilmour Specimen Type: holotype Sex: f Institution: CNC Canadian National Collection of Insects, Ottawa, Ontario, Canada Photographer: Serge Laplante, photograph and data Determiner: Copyright of
Agriculture & Agri Food Canada Collection Location: Santa Margarita Hill, Trinidad, Trinidad & Tobago 63079
|
_Gilmour_EMEC_now_Amethysphaerion.jpg)
Psyrassa trinidadensis Gilmour Specimen Type: paratype Sex: m Institution: EMEC Essig Museum of Entomology, Berkeley, CA, USA Photographer: Larry G. Bezark 41989
|
_MAGD_Tav_=_Amethysphaerion_trinidadensis.jpg)
Psyrassa trinidadensis Gilmour Specimen Type: paratype Institution: MAGD Museum & Art Gallery of Doncaster, England Photographer: Gerard Tavakilian 18358
|
_Barro_Colorado_Is_Panama_Det_Martins_LGB.jpg)
Photographer: Larry G. Bezark Determiner: Martins Collection Location: Barro Colorado Island, Panama 24522
|
_Barro_Colorado_Is_Panama_Det_Martins_LGB.jpg)
Photographer: Larry G. Bezark Determiner: Martins Collection Location: Barro Colorado Island, Panama 24521
|
_EMEC_Arima_Valley_Trinidad_det_Noguera.jpg)
Photographer: Larry G. Bezark Determiner: Felipe Noguera Collection Location: Arima Valley, Trinidad 41988
|
|