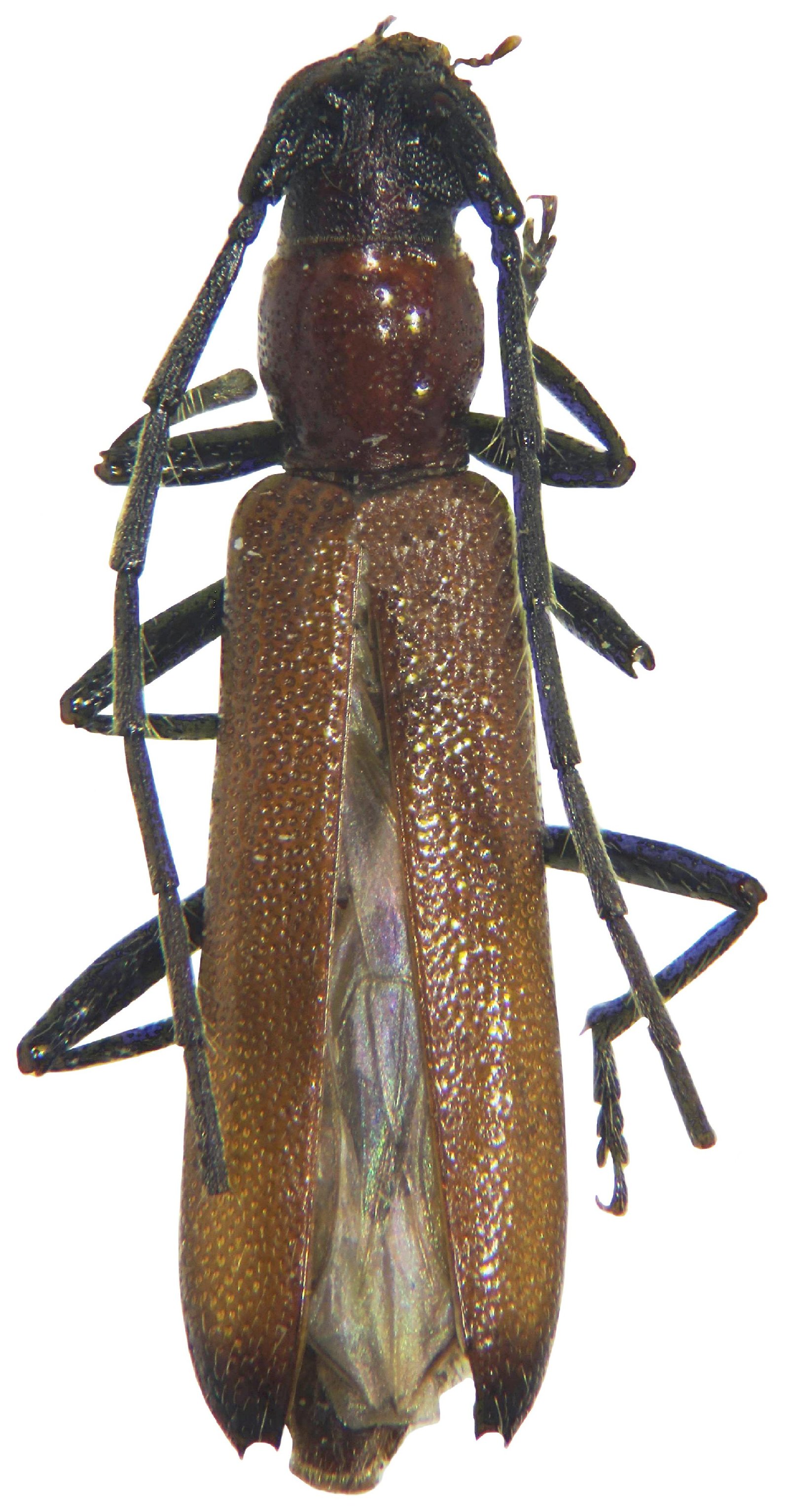
_Martins_and_Napp_MZSP_SWL_Bolivia.jpg)
Specimen Type: holotype Sex: m Institution: MZSP Museu de Zoologia da Universidade de São Paulo, Brazil Photographer: Steve Lingafelter Collection Location: Villeta (Colonia Nueva Italia), Paraguay 4186
|

Photographer: Ole Mehl Collection Location: Pirareta, Department Cordillera, Paraguay 35742
|

Institution: LGBC Larry G. Bezark Collection, Sacramento, California, USA Photographer: Larry G. Bezark Collection Location: Nueva Test Camp, Cordillera, Paraguay 72201
|

Institution: Universidad Nacional del
Nordeste, Argentina Photographer: Nestor Valle Collection Location: Quintana, Chaco, Argentina 81170
|
|