
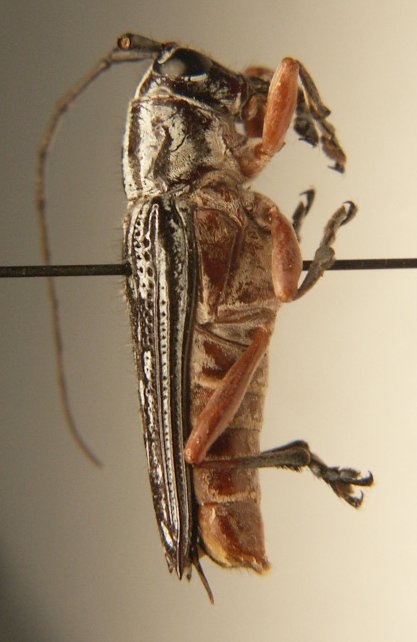
Specimen Type: holotype Sex: f Institution: NHMB Naturhistorisches Museum, Basel, Switzerland Photographer: Andreas Weigel Collection Location: Mont Merinjak, Sarawak, Borneo 67782
|
.jpg)
Specimen Type: holotype Sex: f Institution: NHMB Naturhistorisches Museum, Basel, Switzerland Photographer: Andreas Weigel Collection Location: Mont Merinjak, Sarawak, Borneo 67783
|