New Search Family, Subfamily and Tribe List

SubFamily Cerambycinae

Tribe Elaphidiini
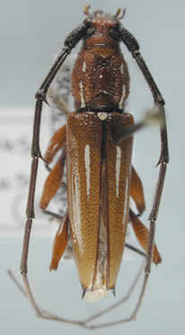
Ambonus lippus (Germar, 1824)

Photographer: Larry G. Bezark
Collection Location: Santa Cruz, Bolivia
190


Photographer: Jim Wappes
Collection Location: Bolivia
4178


Institution: UCB Essig Museum of Entomology, Berkeley, California, USA
Photographer: Larry G. Bezark
Determiner: John Chemsak
Collection Location: Linhares, Brazil
4180


Photographer: Ole Mehl
Collection Location: Department Canindeyu, Paraguay
36635

130425