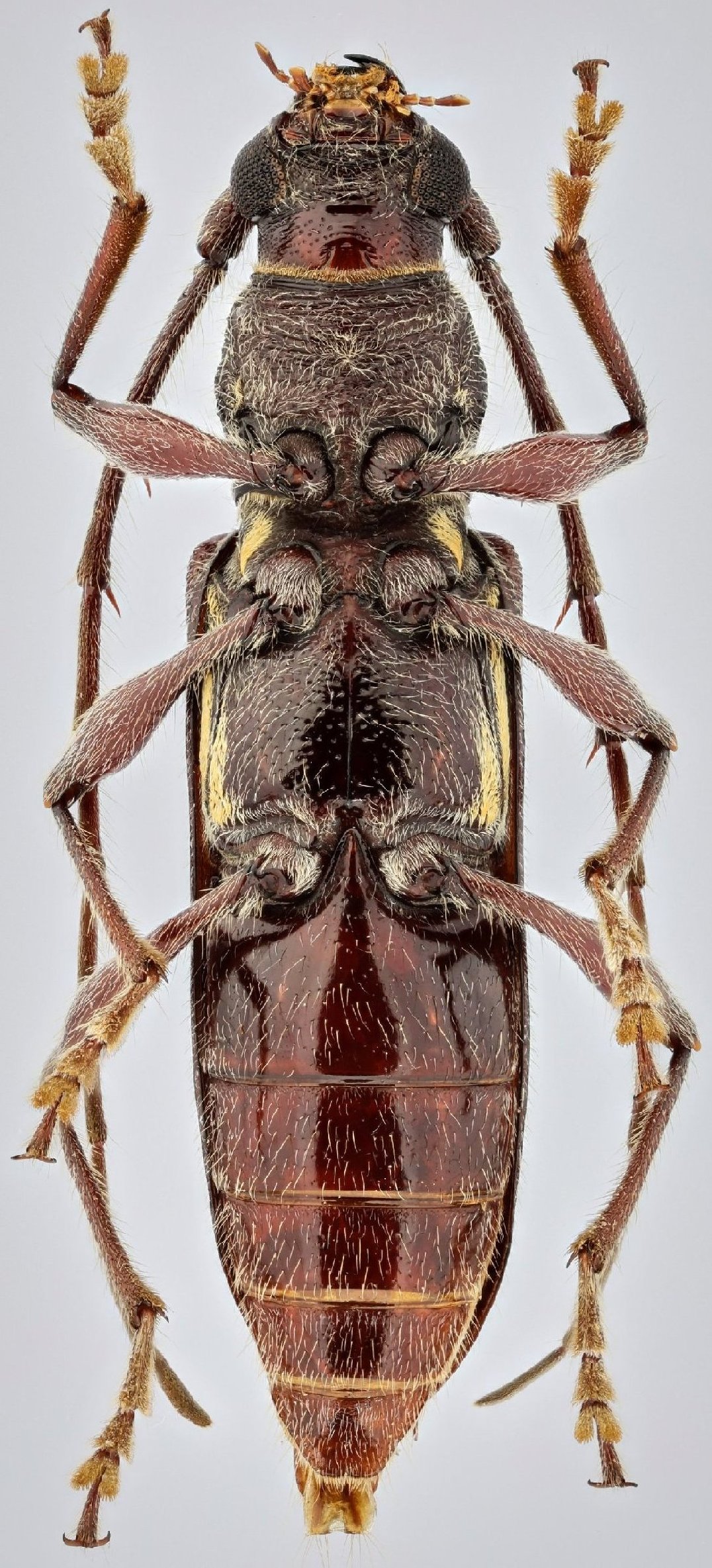
_Gahan_BMNH_Chapada_MT_Brazil_nowAmbonus_LGB.jpg)
Trichophorus electus Gahan Specimen Type: syntype Institution: BMNH British Museum Natural History, London, UK Photographer: Larry G. Bezark Collection Location: Chapada, Mato Grosso, Brazil 47401
|
_Santa_Cruz_Bolivia_LGB.jpg)
Photographer: Larry G. Bezark Collection Location: Santa Cruz, Bolivia 189
|
_Bolivia_Wappes_Photo.jpg)
Photographer: Jim Wappes Collection Location: Bolivia 4173
|
_CAS.jpg)
Institution: CAS California Academy of Sciences, San Francisco, CA, USA Photographer: Larry G. Bezark 4174
|

Institution: UCB Essig Museum of Entomology, Berkeley, California, USA Photographer: Larry G. Bezark Collection Location: Rio de Janeiro, Brazil 4175
|
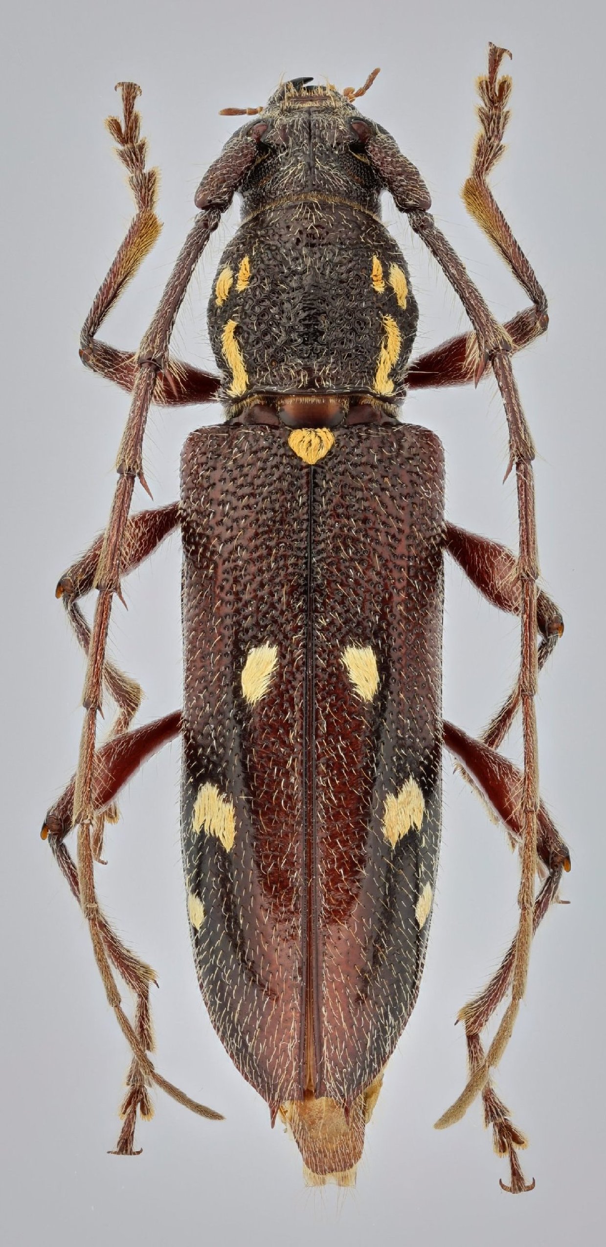
 (Gahan) Rio Hato, District de Anton, Cocle, Panama SD coll.jpg)
Sex: f Institution: Devesa Collection Photographer: Sergio Devesa Collection Location: Rio Hato, District de Anton, Cocle, Panama 4177
|
 (Gahan) Rio Hato, District de Anton, Cocle, Panama SD coll.jpg)
Sex: f Institution: Devesa Collection Photographer: Sergio Devesa Collection Location: Rio Hato, District de Anton, Cocle, Panama 89287
|
 (Gahan) Rio Hato, District de Anton, Cocle, Panama SD coll.jpg)
Sex: f Institution: Devesa Collection Photographer: Sergio Devesa Collection Location: Rio Hato, District de Anton, Cocle, Panama 89288
|
|