
Specimen Type: holotype Institution: MNHN Museum of Natural History Paris, France Photographer: Meiying Lin Collection Location: Borneo 67548
|
_Br_BMNH_Sarawak_Borneo_now_ochraceovitt_LGB.jpg)
Glenea ochraceovittata borneotica Breuning Specimen Type: syntype Institution: BMNH British Museum Natural History, London, UK Photographer: Larry G. Bezark Collection Location: Sarawak, Borneo 47878
|
_Br_BMNH_Sarawak_Borneo_now_ochraceovitt_LGB.jpg)
Glenea ochraceovittata borneotica Breuning Specimen Type: syntype Institution: BMNH British Museum Natural History, London, UK Photographer: Larry G. Bezark Collection Location: Sarawak, Borneo 47879
|

Glenea bakeri Aurivillius Photographer: Jim Cope 48627
|
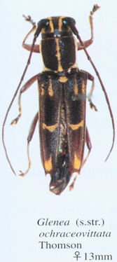
_ochraceovittata_ochraceovittata_(f)_Thomson_Makihara.jpg)
Sex: f Photographer: Makihara 41706
|

Institution: BPBM Bernice P. Bishop Museum, Honolulu, Hawaii, USA Photographer: Jim Cope Collection Location: Borneo 41707
|

Glenea bakeri Aurivillius Photographer: Andreas Weigel 67693
|