
Specimen Type: holotype Institution: MNHN Museum of Natural History Paris, France Photographer: Meiying Lin Collection Location: Borneo 67543
|

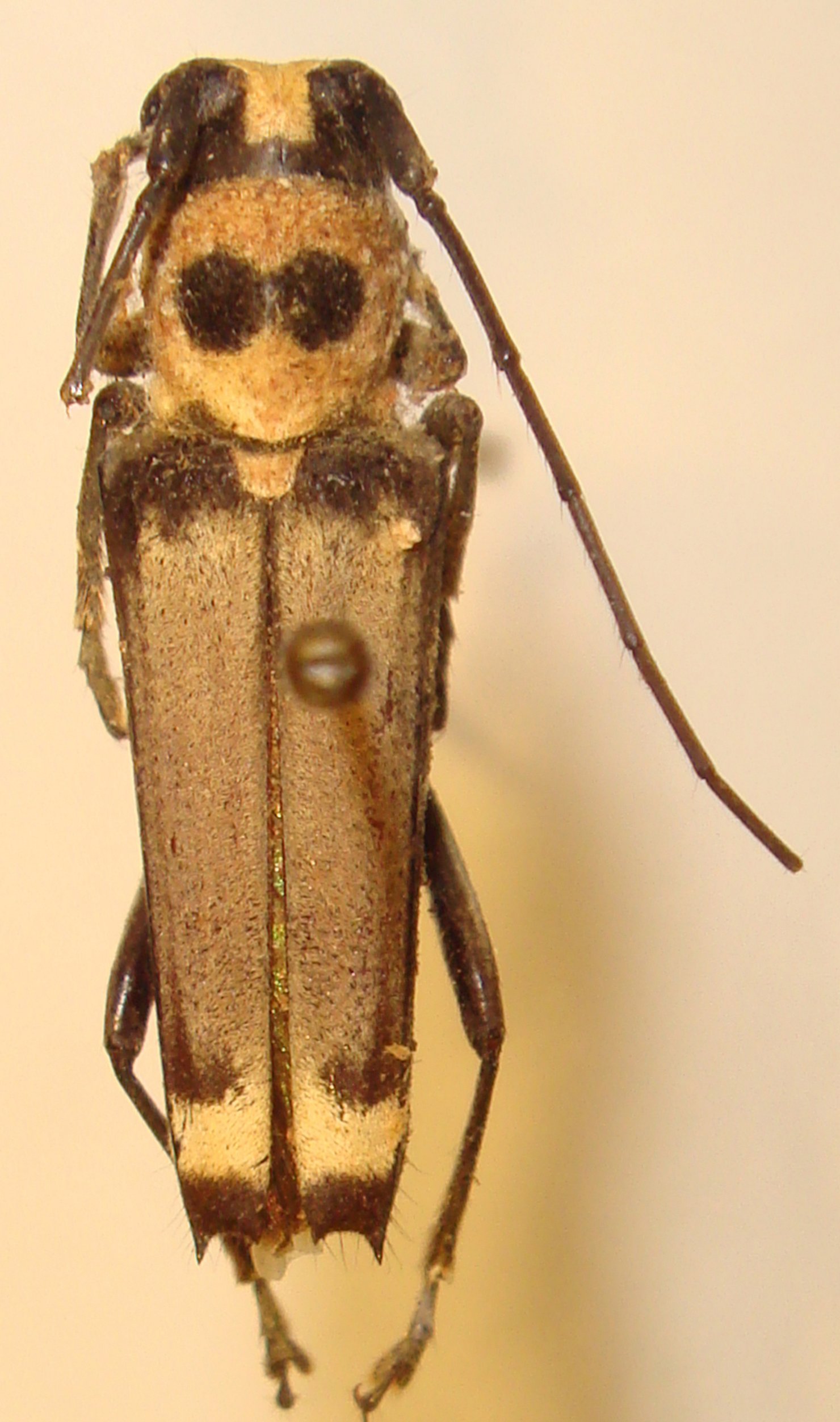
Glenea biocellata Breuning Specimen Type: holotype Sex: f Institution: NHMB Naturhistorisches Museum, Basel, Switzerland Photographer: Meiying Lin Collection Location: Momeit, Myanmar 67544
|