
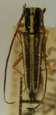
Glenea anona v. obscura Aurivillius Specimen Type: holotype Sex: m Institution: MHNG Museum of Natural History, Geneva, Switzerland Photographer: Meiying Lin Collection Location: Thagatà, Tenasserim, Myanmar 67514
|

Glenea anona v. obscura Aurivillius Specimen Type: holotype Sex: m Institution: MHNG Museum of Natural History, Geneva, Switzerland Photographer: Meiying Lin Collection Location: Thagatà, Tenasserim, Myanmar 67513
|

Glenea anona Pascoe Specimen Type: maybe this taxon Institution: LIPI Lembaga Ilmu Pengetahuan, Bogor, Indonesia Photographer: Larry G. Bezark Collection Location: Batoerraden, G Slamet, West Java 43623
|

Glenea anona Pascoe Specimen Type: maybe this taxon Institution: LIPI Lembaga Ilmu Pengetahuan, Bogor, Indonesia Photographer: Larry G. Bezark Collection Location: Batoerraden, G Slamet, West Java 43624
|

Glenea anona Pascoe Specimen Type: maybe this taxon Institution: LIPI Lembaga Ilmu Pengetahuan, Bogor, Indonesia Photographer: Larry G. Bezark Collection Location: Preanger, West Java 43625
|
|