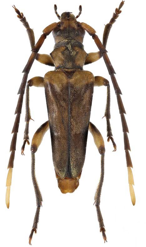
_Miroshnikov_Liu_Bin_LiuIns_Tax_Studio_Laibin_City_Guangxi_China.jpg)
Specimen Type: holotype Sex: m Institution: Bin Liu Insect Taxonomy Studio, Beijing China Collection Location: Laibin City, Guangxi Province, China 66400
|
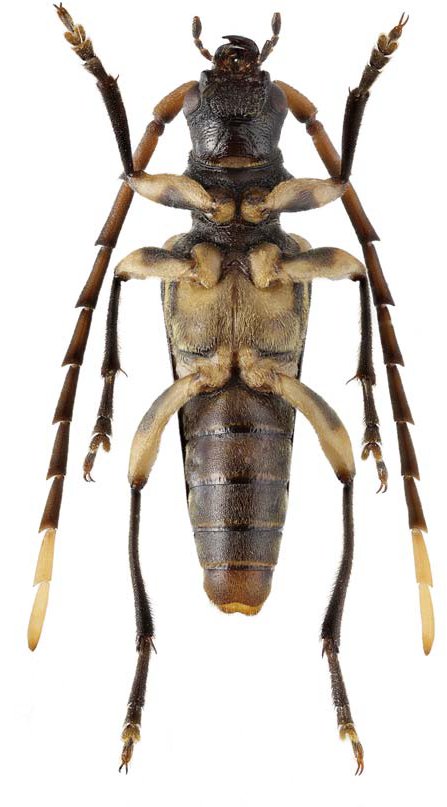
_Miroshnikov_Liu_Bin_LiuIns_Tax_Studio_Laibin_City_Guangxi_China.jpg)
Specimen Type: holotype Sex: m Institution: Bin Liu Insect Taxonomy Studio, Beijing China Collection Location: Laibin City, Guangxi Province, China 66401
|