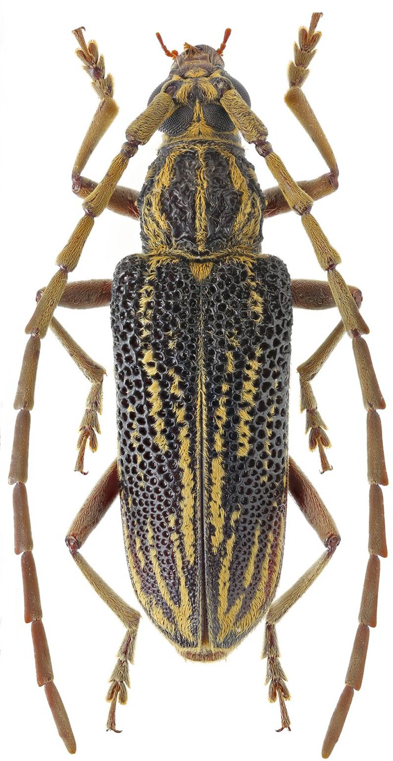
_Gress_Rond_BPBM_Pakkading_Borikhane_Province_Laos_Mirosh.jpg)
Specimen Type: holotype Sex: m Institution: BPBM Bernice P. Bishop Museum, Honolulu, Hawaii, USA Photographer: Miroshnikov Collection Location: Pakkading, Borikhane Province, Laos 70756
|
_Gress_Rond_BPBM_Pakkading_Borikhane_Province_Laos_Mirosh.jpg)
Specimen Type: holotype Sex: m Institution: BPBM Bernice P. Bishop Museum, Honolulu, Hawaii, USA Photographer: Miroshnikov Collection Location: Pakkading, Borikhane Province, Laos 70757
|
_Gressitt_Rond_BPBM_Nobuo_Ohbay.jpg)
Specimen Type: holotype Sex: m Institution: BPBM Bernice P. Bishop Museum, Honolulu, Hawaii, USA Photographer: Nobuo Ohbayashi Collection Location: Pakkading, Borikhane Province, Laos 45494
|
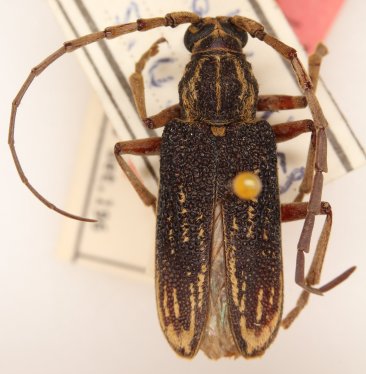
_Gress_Rond_Miroshn_coll_Sihanoukville_env_Cambodia.jpg)
Sex: m Institution: Miroshnikov Collection Photographer: Miroshnikov Collection Location: Sihanoukville environs, Cambodia 70758
|
|