New Search Family, Subfamily and Tribe List

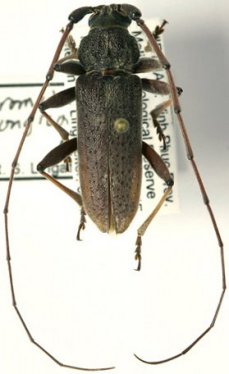
SubFamily Cerambycinae

Tribe Hesperophanini
Stromatium longicorne (Newman, 1842)

Institution: LGBC Larry G. Bezark Collection, Sacramento, California, USA
Photographer: Larry G. Bezark
Collection Location: Hanoi, Vietnam
41212


Photographer: Steve Lingafelter
Collection Location: Me Linh Biological Station, Vinh Phuc Province, Vietnam
62679


Sex: f
Photographer: David Navratil
Collection Location: vicinity of Illam, Province 1, Nepal
80178

130425