_Ivindo_Ogooue-Ivindo_Gabon_ISRNB_NM.jpg)
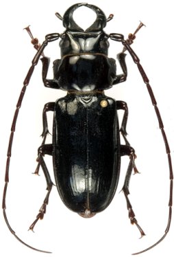
Sex: m Institution: IRSNB Royal Belgian Institute of Natural Sciences, Brussels, Belgium Photographer: Noel Mal Collection Location: Ivindo, Ogooue-Ivindo, Gabon 54553
|

Sex: f Institution: IRSNB Royal Belgian Institute of Natural Sciences, Brussels, Belgium Photographer: Noel Mal Collection Location: Ivindo, Ogooue-Ivindo, Gabon 54554
|