_Pascoe_BMNH_ES_Brazil_LGB.jpg)
Specimen Type: holotype Sex: f Institution: BMNH British Museum Natural History, London, UK Photographer: Larry G. Bezark Collection Location: Espirito Santo, Brazil 47350
|
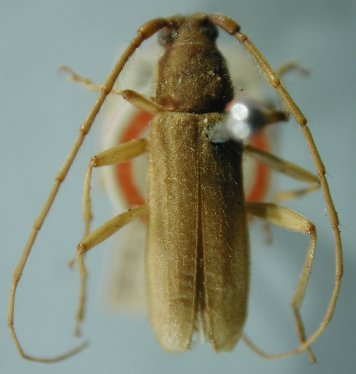
_Pascoe_BMNH_ES_Brazil_KM.jpg)
Specimen Type: holotype Sex: f Institution: BMNH British Museum Natural History, London, UK Photographer: Keita Matsumoto Collection Location: Espirito Santo, Brazil 65990
|