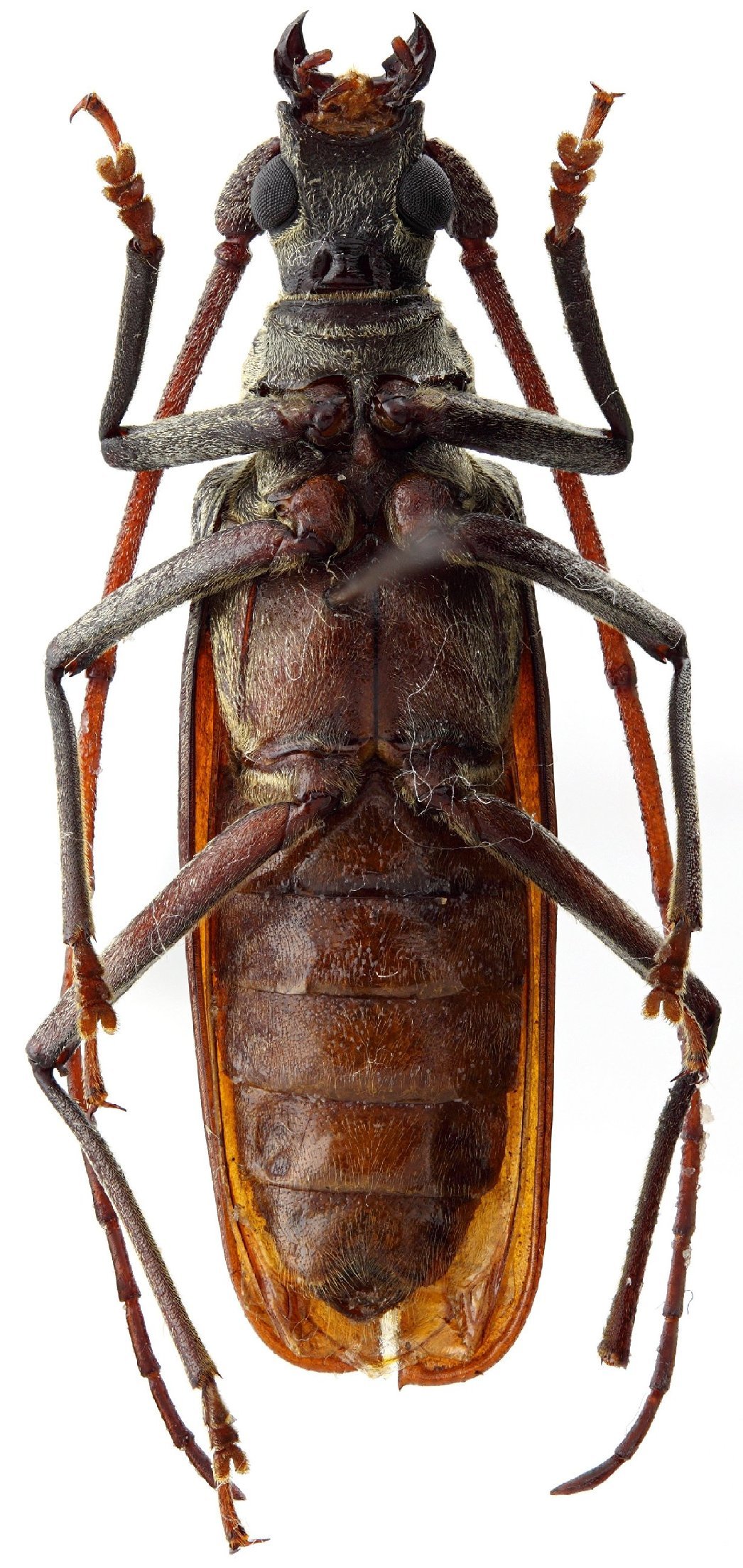
_Komiya_IRSNB_Mt_Gantong_Palawan_Philippines_J_Pirkl5.jpg)
Specimen Type: holotype Sex: m Institution: RBINS Royal Belgian Institute of Natural Sciences, Brussels, Belgium Photographer: J Pirkl Collection Location: Mt Gantong, Palawan, Philippines 65817
|
_Komiya_IRSNB_Mt_Gantong_Palawan_Philippines_J_Pirkl5.jpg)
Specimen Type: holotype Sex: m Institution: RBINS Royal Belgian Institute of Natural Sciences, Brussels, Belgium Photographer: J Pirkl Collection Location: Mt Gantong, Palawan, Philippines 65818
|
_Komiya_IRSNB_Mt_Gantong_Palawan_Philippines_J_Pirkl5.jpg)
Specimen Type: holotype Sex: m Institution: RBINS Royal Belgian Institute of Natural Sciences, Brussels, Belgium Photographer: J Pirkl Collection Location: Mt Gantong, Palawan, Philippines 65819
|
_Komiya_IRSNB_Mt_Gantong_Palawan_Philippines_J_Pirkl5.jpg)
Specimen Type: holotype Sex: m Institution: RBINS Royal Belgian Institute of Natural Sciences, Brussels, Belgium Photographer: J Pirkl Collection Location: Mt Gantong, Palawan, Philippines 65820
|
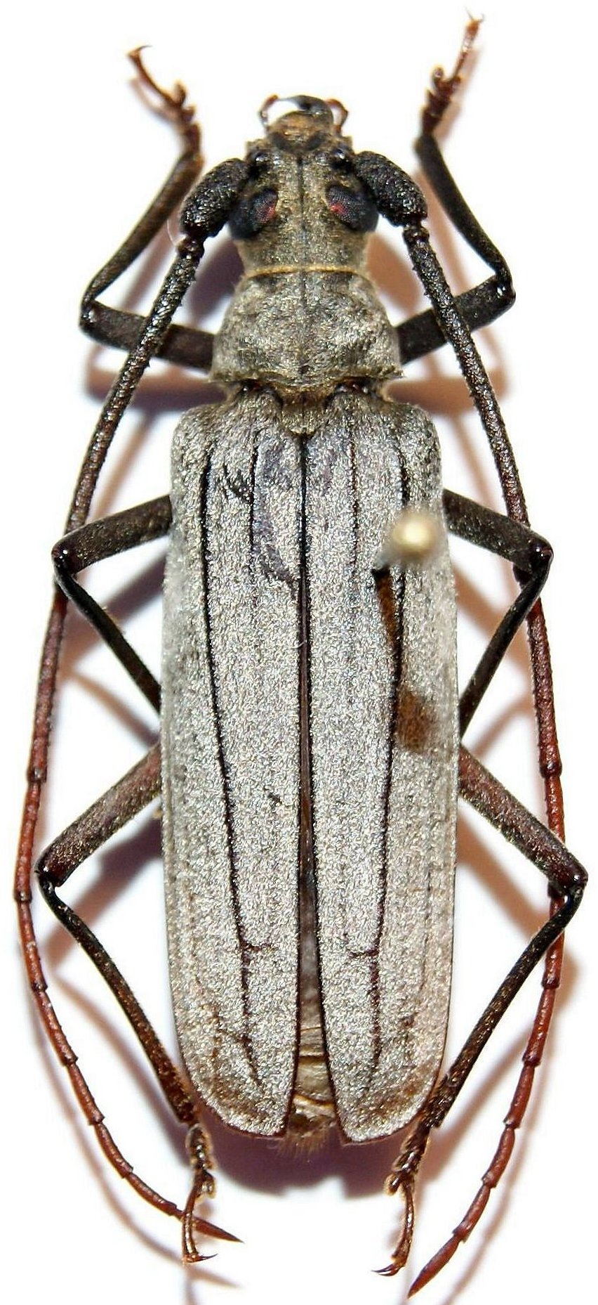
_Komiya_Palawan_Is_Philippines.jpg)
Sex: f Determiner: Elytra, Tokyo Collection Location: Palawan, Philippines 67010
|
_Komiya_Palawan_Is_Philippines_Weigel_forum.jpg)
Sex: m Photographer: Andreas Weigel, Cerambycoidea Forum Collection Location: Palawan, Philippines 67011
|
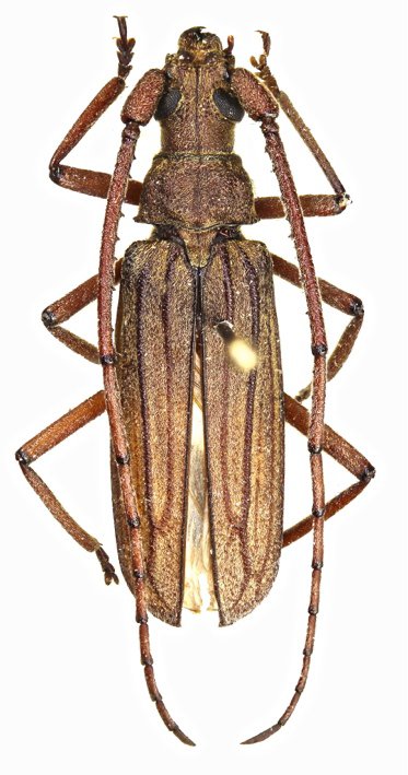
 Komiya San Jose, Palawan, Philippines Vives coll pic.jpg)
Sex: m Institution: Vives Collection Photographer: Eduard Vives Collection Location: San Jose, Palawan, Philippines 100323
|
|