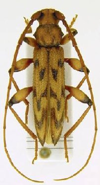
_Bates_BMNH_JAC.jpg)
Sex: f Institution: BMNH British Museum Natural History, London, UK Photographer: John Chemsak 18183
|

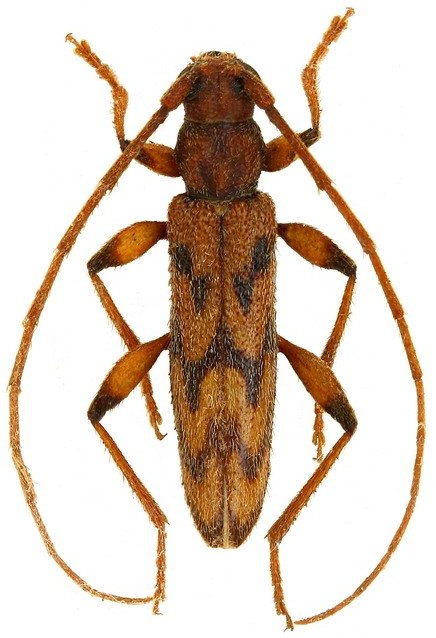
Photographer: Denis Faure Collection Location: French Guiana 23622
|
_Det_Hovore_UCD.jpg)
Institution: UCD University of California, Davis, California, USA Photographer: Larry G. Bezark Determiner: Frank Hovore 4073
|
_LGB.jpg)
Photographer: Larry G. Bezark 4074
|

Photographer: Jean-Louis Giuglaris Collection Location: Kaw, French Guiana 68107
|
|