_Stockholm_DJH_=_Parectatosia.jpg)
Specimen Type: holotype Sex: f Institution: NHRS Naturhistoriska Riksmuseet, Stockholm, Sweden Photographer: Dan Heffern Collection Location: Buso, Sarawak, Sabah, Borneo 38570
|
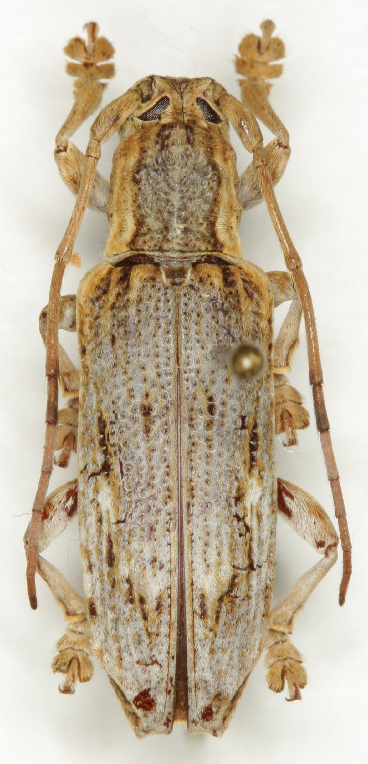
_Sabah.jpg)
Institution: Heffern Collection Photographer: Dan Heffern Collection Location: Sabah, Borneo 71883
|