_Lane_MZSP_=_Ochrus.jpg)
Jabaquara tippmanni Lane Specimen Type: holotype Sex: f Institution: MZSP Museu de Zoologia da Universidade de São Paulo, Brazil Collection Location: Petrópolis (Independência), Rio de Janeiro, Brazil 20434
|
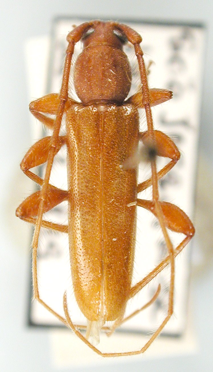
_Lane_MZSP_JAC_=_Ochrus_tippmanni.jpg)
Jabaquara tippmanni Lane Specimen Type: holotype Sex: f Institution: MZSP Museu de Zoologia da Universidade de São Paulo, Brazil Photographer: John Chemsak Collection Location: Petrópolis (Independência), Rio de Janeiro, Brazil 16989
|
 Sao Joaquim, Santa Catarina, Brazil det Napp JCPC LGB.jpg)
Institution: JCPC Jim Cope Collection, San Jose, California, USA now at CSCA, Sacramento Photographer: Larry G. Bezark Determiner: Dilma Napp Collection Location: Sao Joaquim, Santa Catarina, Brazil 98918
|
|