 Fisher NMNH St Lucie, British West Indies now Ochrus Moure.jpg)
Pseudoeme ornata Fisher Specimen Type: holotype Sex: f Institution: NMNH United States National Museum, Washington, DC, USA Photographer: JS Moure Collection Location: St Lucie, British West Indies 18350
|
_Fisher_Santa_Lucia_USNM_SWL_=_Ochrus_ornatus.jpg)
Pseudoeme ornata Fisher Specimen Type: holotype Sex: f Institution: NMNH United States National Museum, Washington, DC, USA Photographer: Steve Lingafelter Collection Location: St Lucie, British West Indies 20668
|
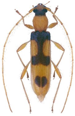
 Fisher St Lucie, British West Indies now Ochrus Moure.jpg)
Pseudoeme ornatus Fisher Specimen Type: holotype Sex: f Institution: NMNH United States National Museum, Washington, DC, USA Photographer: JS Moure Collection Location: St Lucie, British West Indies 101991
|
_(Fisher)_Guadeloupe_Touroult_photo.jpg)
Sex: f Photographer: Julien Touroult Collection Location: Guadeloupe 23107
|
_(Fisher)_Martinique_Touroult_photo.jpg)
Sex: m Photographer: Julien Touroult Collection Location: Martinique 23108
|
|