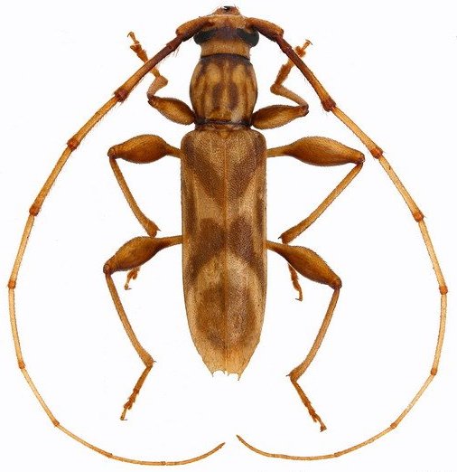
_Lacordaire_MNHN_JAC.jpg)
Specimen Type: holotype Sex: m Institution: MNHN Museum of Natural History Paris, France Photographer: John Chemsak Collection Location: Cayenne, French Guiana 17643
|
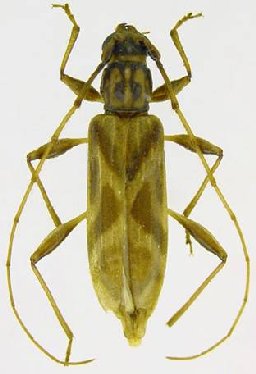
_Zajciw_MNRJ_SWL_=_Ochrus_grammoderus_Lacordaire.jpg)
Eurymeriopsis fuscofasciata Zajciw Specimen Type: holotype Sex: m Institution: MNRJ Museu Nacional Universidade do Rio Janeiro, Brazil Photographer: Steve Lingafelter Collection Location: Mocajubá (Mangabeira), Para, Brazil 7827
|

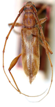
Institution: UCB Essig Museum of Entomology, Berkeley, California, USA Photographer: Larry G. Bezark Determiner: Tavakilian Collection Location: French Guiana 10900
|

Photographer: Jean-Louis Giuglaris Collection Location: Kaw, French Guiana 68093
|

Photographer: Denis Faure Collection Location: French Guiana 22150
|
|