_Schaeffer_USNM.jpg)
Specimen Type: holotype Institution: NMNH United States National Museum, Washington, DC, USA Photographer: Steve Lingafelter Collection Location: Huachuca Mountains, Arizona 1844
|
_Linsley_CAS_3604_LGB_=_Malobidion_brunneum.jpg)
Haplidus palpalis Linsley Specimen Type: holotype Sex: m Institution: CAS California Academy of Sciences, San Francisco, CA, USA Photographer: Larry G. Bezark Collection Location: Carr Canyon, Huachuca Mountains, Arizona 22771
|
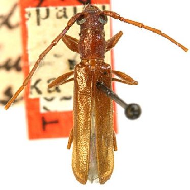
_Casey_USNM_=_Malobidion_brunneum.jpg)
Malobidion uteanum Casey Specimen Type: syntype Institution: NMNH United States National Museum, Washington, DC, USA Collection Location: Utah 26121
|

Photographer: Larry G. Bezark 3439
|
|