_Ch_and_Linsl_AMNH_Xcan_Nuevo_Q_Roo_Mexico.jpg)
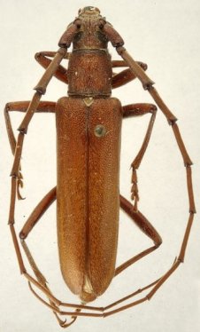
Specimen Type: holotype Sex: m Institution: AMNH American Museum of Natural History, New York, NY, USA Collection Location: Xcan, Nuevo, Quintana Roo, Mexico 27773
|

Institution: UCB Essig Museum of Entomology, Berkeley, California, USA Photographer: Larry G. Bezark 8382
|