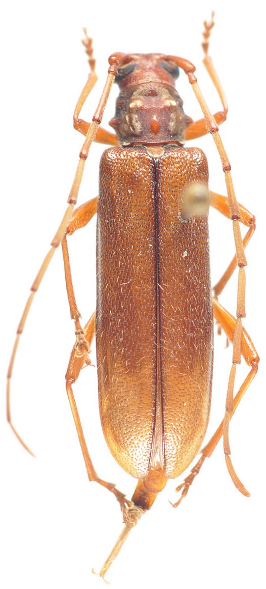
_Zajciw_MNRJ_SWL.jpg)
Specimen Type: holotype Institution: MNRJ Museu Nacional Universidade do Rio Janeiro, Brazil Photographer: Steve Lingafelter Collection Location: Teresópolis (Parque Nac da Serra dos Orgãos), Rio de Janeiro, Brazil 8287
|

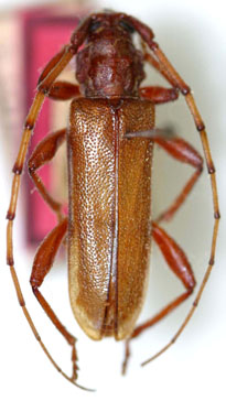
Institution: MNRJ Museu Nacional Universidade do Rio Janeiro, Brazil Photographer: Marcela Monne Collection Location: Serro do Caraca, Minas Gerais, Brazil 62316
|