New Search Family, Subfamily and Tribe List

SubFamily Lamiinae

Tribe Pteropliini
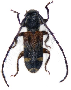
Egesina tarsata Holzschuh 2007

Specimen Type: holotype
Sex: m
Institution: Holzschuh Collection
Determiner: Schrift. Forstlichen Bundesversuchsanstalt
Collection Location: Gaoligongshan Mtns, Yunnan, China
38592


Photographer: Meiying Lin
42651

130425