.jpg)
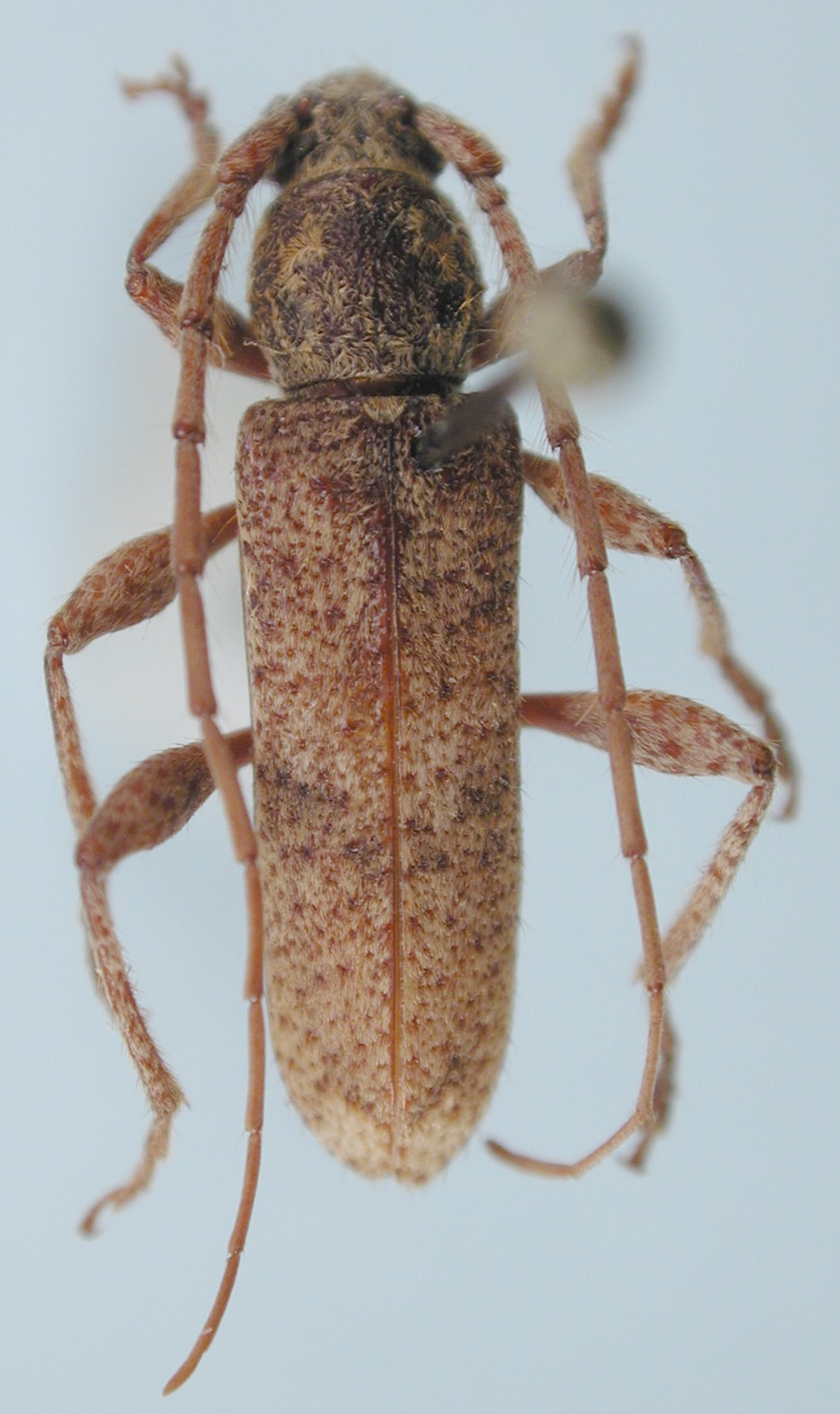
Hesperophanes inspergatus Fairmaire & Germain Specimen Type: holotype Institution: MNHN Museum of Natural History Paris, France Collection Location: Santiago, Chile 8284
|
_Fairmaire_and_Germain_MNHN_JAC_=_Elaphidion.jpg)
Hesperophanes inspergatus Fairmaire & Germain Specimen Type: holotype Institution: MNHN Museum of Natural History Paris, France Photographer: John Chemsak Collection Location: Santiago, Chile 16767
|

Institution: LGBC Larry G. Bezark Collection, Sacramento, California, USA Photographer: Larry G. Bezark Collection Location: El Canelo, Chile 81913
|
|