New Search Family, Subfamily and Tribe List

SubFamily Lamiinae

Tribe Hyborhabdini
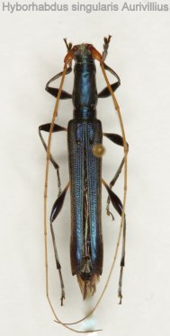
Hyborhabdus singularis Aurivillius 1911

Photographer: Larry G. Bezark
Determiner: Dan Heffern
Collection Location: Mt Trus Madi, Sabah, Borneo
51053


Photographer: Dan Heffern
Collection Location: Sabah, Borneo
51054

130425