New Search Family, Subfamily and Tribe List

SubFamily Cerambycinae

Tribe Hesperophanini
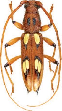
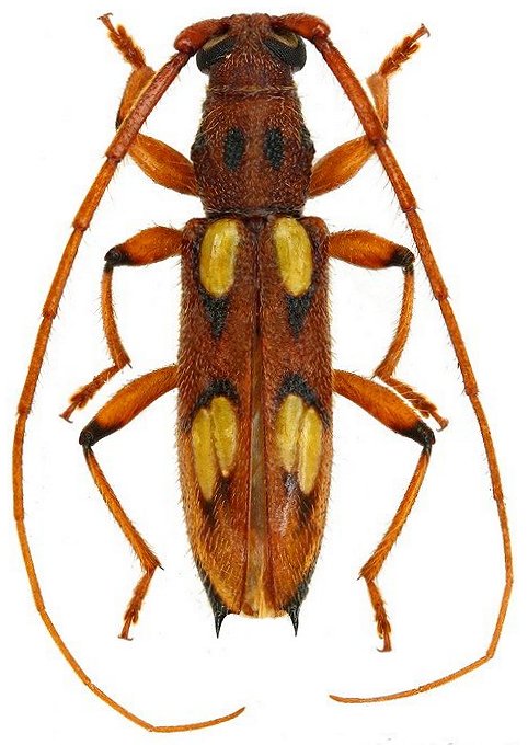
Hespereburia brachypa Bates 1870

Photographer: Jean-Louis Giuglaris
Collection Location: Matiti, French Guiana
28812


Photographer: Julien Touroult
Collection Location: French Guiana
44833


Sex: m
Collection Location: Dalens & Tavakilian
27619


Sex: f
Collection Location: Dalens & Tavakilian
27620

130425