 Thomson MNHN Malaysia Christophe Rivier pic.jpg)
Specimen Type: holotype Institution: MNHN Museum of Natural History Paris, France Photographer: Christophe Rivier Collection Location: Malaysia 100315
|
 Thomson MNHN Malaysia Christophe Rivier pic.jpg)
Specimen Type: holotype Institution: MNHN Museum of Natural History Paris, France Photographer: Christophe Rivier Collection Location: Malaysia 100316
|
 Thomson MNHN Malaysia Christophe Rivier pic.jpg)
Specimen Type: holotype Institution: MNHN Museum of Natural History Paris, France Photographer: Christophe Rivier Collection Location: Malaysia 100317
|
 Thomson MNHN Malaysia Christophe Rivier pic.jpg)
Specimen Type: holotype Institution: MNHN Museum of Natural History Paris, France Photographer: Christophe Rivier Collection Location: Malaysia 100318
|
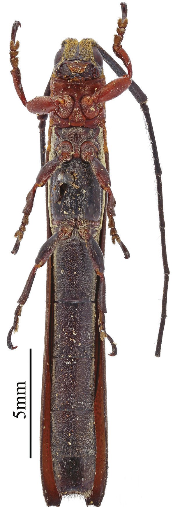
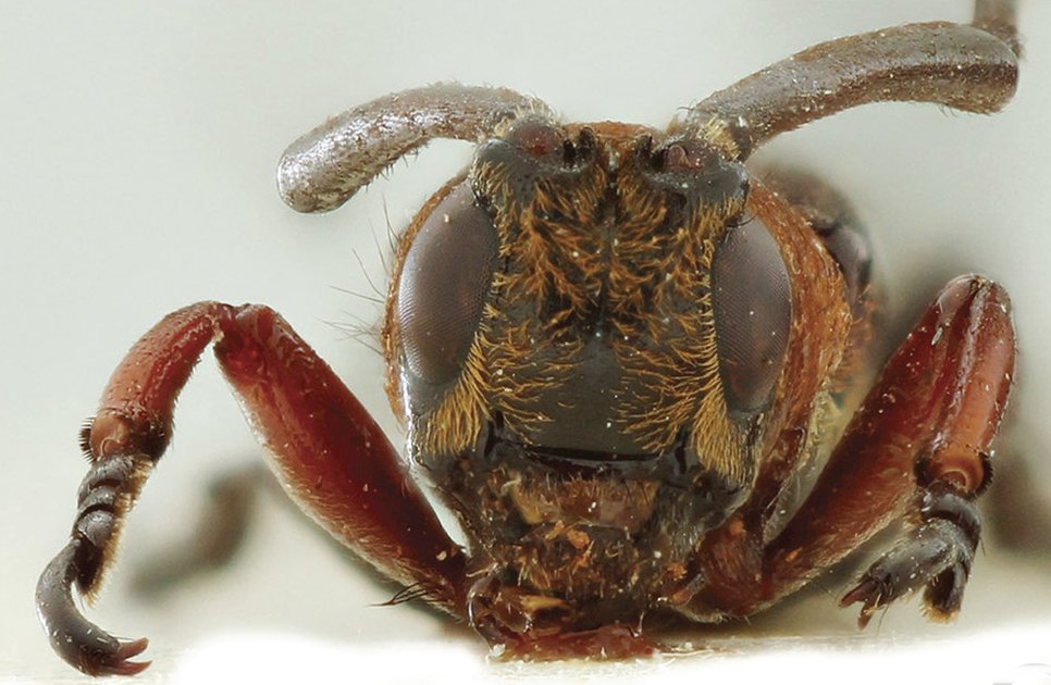
 Br IRSNB Kuala Lumpur, Malacca Is, Malaysia Berdien Daniels pic now Ectinogramma isosc.jpg)
Spinogramma ruficollis Breuning Specimen Type: holotype Institution: IRSNB Royal Belgian Institute of Natural Sciences, Brussels, Belgium Photographer: Berdien Daniels Collection Location: Kuala Lumpur, Malacca Is, Malaysia 61034
|
 Br IRSNB Kuala Lumpur, Malacca Is, Malaysia Berdien Daniels pic now Ectinogramma isosc.jpg)
Spinogramma ruficollis Breuning Specimen Type: holotype Institution: IRSNB Royal Belgian Institute of Natural Sciences, Brussels, Belgium Photographer: Berdien Daniels Collection Location: Kuala Lumpur, Malacca Is, Malaysia 100319
|
 Br IRSNB Kuala Lumpur, Malacca Is, Malaysia Berdien Daniels pic now Ectinogramma isosc.jpg)
Spinogramma ruficollis Breuning Specimen Type: holotype Institution: IRSNB Royal Belgian Institute of Natural Sciences, Brussels, Belgium Photographer: Berdien Daniels Collection Location: Kuala Lumpur, Malacca Is, Malaysia 100320
|
 Br IRSNB Kuala Lumpur, Malacca Is, Malaysia Berdien Daniels pic now Ectinogramma isosc.jpg)
Spinogramma ruficollis Breuning Specimen Type: holotype Institution: IRSNB Royal Belgian Institute of Natural Sciences, Brussels, Belgium Photographer: Berdien Daniels Collection Location: Kuala Lumpur, Malacca Is, Malaysia 100321
|
_Pascoe_=_isosceloides.jpg)
Ectinogramma collare Pascoe Specimen Type: holotype Institution: BMNH British Museum Natural History, London, UK Collection Location: Penang, Malacca 38578
|

Institution: LGBC Larry G. Bezark Collection, Sacramento, California, USA Photographer: Larry G. Bezark Collection Location: Sabah, Borneo 38579
|

Institution: BMNH British Museum Natural History, London, UK Photographer: Larry G. Bezark Collection Location: Selangor, Malay Peninsula 48512
|

Institution: BMNH British Museum Natural History, London, UK Photographer: Larry G. Bezark Collection Location: Selangor, Malay Peninsula 48513
|