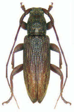
_Pascoe_BMNH_Mysol_Islands.jpg)
Specimen Type: holotype Sex: m Institution: BMNH British Museum Natural History, London, UK Collection Location: Mysol Islands 62700
|
_Br_MTMB_Isles_Key_Moluccas_now_umbratica.jpg)
Sybra bitriangularis Breuning Specimen Type: holotype Sex: m Institution: MTMB Magyar Természettudományi Műzeum, Budapest, Hungary Determiner: Vernate Collection Location: Isles Key, Molucca Islands, Indonesia 62723
|
_Br_MCSNG_Ternate_Moluccas_now_umbratica.jpg)
Sybra lineatipennis Breuning Specimen Type: holotype Sex: m Institution: MSNG Museo Civico di Storia Naturale, Giacomo Doria, Genova, Italy Determiner: Vernate Collection Location: Ternate, Molucca Islands 62782
|
_Grilolo_Molucca_Indonesia_U_Schmidt_photo.jpg)
Sybra petulans Pascoe Specimen Type: holotype Sex: f Institution: BMNH British Museum Natural History, London, UK Photographer: Udo Schmidt Collection Location: Gilolo, Molucca Islands, Indonesia 62802
|
_Br_Fly_River_PNG_now_umbratica.jpg)
Sybra albertisi Breuning Specimen Type: holotype Sex: m Institution: MSNG Museo Civico di Storia Naturale, Giacomo Doria, Genova, Italy Collection Location: Fly River, Papua New Guinea 62699
|

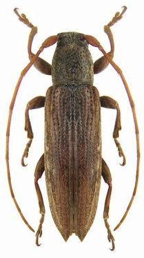
Institution: LGBC Larry G. Bezark Collection, Sacramento, California, USA Photographer: Larry G. Bezark Determiner: Andreas Weigel, Cerambycoidea Forum Collection Location: Madang, Papua New Guinea 64990
|
_Pascoe_Madang_PNG_LGB_det_Weigel.jpg)
Institution: LGBC Larry G. Bezark Collection, Sacramento, California, USA Photographer: Larry G. Bezark Determiner: Andreas Weigel, Cerambycoidea Forum Collection Location: Madang, Papua New Guinea 64991
|
|