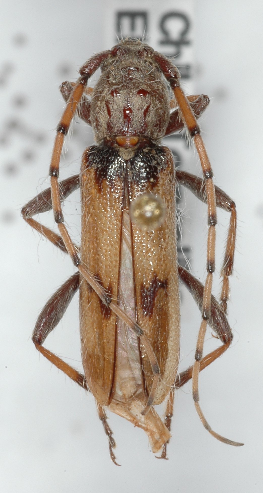
_Cerda_MZSP_SWL.jpg)
Grammicosum larsoni Cerda Specimen Type: allotype Institution: MZSP Museu de Zoologia da Universidade de São Paulo, Brazil Photographer: Steve Lingafelter 8100
|
_Cerda_Ceram_Sul_Americanos_=_Apyrauna.jpg)
Grammicosum larsoni Cerda Specimen Type: paratype Sex: f 21358
|
_JCPC_Chile_JC.jpg)
Institution: JCPC Jim Cope Collection, San Jose, California, USA now at CSCA, Sacramento Photographer: Jim Cope Collection Location: Chile 73104
|
|