_Pascoe_BMNH_Borneo_Nearns.jpg)
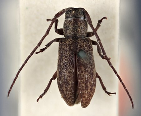
Specimen Type: holotype Institution: BMNH British Museum Natural History, London, UK Photographer: Gino Nearns Collection Location: Borneo 60327
|

Specimen Type: holotype Institution: BMNH British Museum Natural History, London, UK Photographer: Slipinski & Escalona Collection Location: Borneo 53129
|