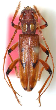
_Tavakilian_and_Monne_MNRJ_SWL.jpg)
Specimen Type: holotype Sex: m Institution: MNRJ Museu Nacional Universidade do Rio Janeiro, Brazil Photographer: Steve Lingafelter Collection Location: Sinop, Mato Grosso, Brazil 6796
|
_Tavakilian_and_Monne_French_Guiana.jpg)
Specimen Type: paratype Sex: f Collection Location: French Guiana 22208
|