New Search Family, Subfamily and Tribe List

SubFamily Cerambycinae

Tribe Hesperophanini
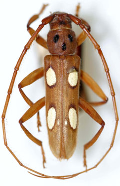
Cetimaique trinodosa Martins & Galileo 1999

Specimen Type: holotype
Sex: m
Institution: MNRJ Museu Nacional Universidade do Rio Janeiro, Brazil
Photographer: Steve Lingafelter
Collection Location: Colatina, Espirito Santo, Brazil
5487


21242

130425