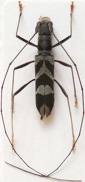
_Pascoe_BMNH_Java_Indonesia_LGB.jpg)
Specimen Type: holotype Sex: m Institution: BMNH British Museum Natural History, London, UK Photographer: Larry G. Bezark Collection Location: Java, Indonesia 47514
|
_Pascoe_BMNH_Java_Indonesia_LGB.jpg)
Specimen Type: holotype Sex: m Institution: BMNH British Museum Natural History, London, UK Photographer: Larry G. Bezark Collection Location: Java, Indonesia 47515
|
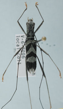
_Dillon_and_Dillon_Philippines_USNM.jpg)
Cylindrepomus peregrinus samarensis Dillon & Dillon Specimen Type: holotype Sex: m Institution: NMNH United States National Museum, Washington, DC, USA Photographer: Steve Lingafelter Collection Location: Samar, Philippines 36238
|
_Gilmour_BMNH_Java_Indonesia_LGB.jpg)
Cylindrepomus peregrinus connexa Gilmour Specimen Type: holotype Sex: m Institution: BMNH British Museum Natural History, London, UK Photographer: Larry G. Bezark Collection Location: Java, Indonesia 47516
|

Photographer: Robert Vigneault, Cerambycoidea Forum 36235
|

Institution: LGBC Larry G. Bezark Collection, Sacramento, California, USA Photographer: Larry G. Bezark Collection Location: Sabah, Borneo, Malaysia 36236
|

Institution: CAS California Academy of Sciences, San Francisco, CA, USA Photographer: Larry G. Bezark Determiner: Jim Cope 36237
|

Cylindrepomus peregrinus samarensis Dillon & Dillon Photographer: Estan Cabigas Collection Location: Mindanao, Philippines 36239
|
_Pascoe_Java_Nusakambangan.jpg)
Sex: m Photographer: Makihara Collection Location: Nusakambangan, Java 36251
|
|