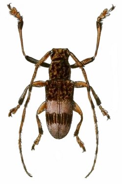
_Pascoe_BMNH_Sarawak_Borneo_JC.jpg)
Specimen Type: holotype Institution: BMNH British Museum Natural History, London, UK Photographer: Jim Cope Collection Location: Sarawak, Borneo 63352
|
_Pascoe_Francesco.jpg)
Specimen Type: holotype Institution: BMNH British Museum Natural History, London, UK Collection Location: Sarawak, Borneo 63353
|

Photographer: Andre Skale, Cerambycoidea Forum Collection Location: Kalimantan, Borneo 63354
|
 Pascoe Mt Bawang, Kalimantan, Borneo Vives coll pic.jpg)
Sex: m Institution: Vives Collection Photographer: Eduard Vives Collection Location: Mt Bawang, Kalimantan, Borneo 96953
|
|