
Pseudochoeromorpha sobrina Pascoe Sex: m Photographer: Dan Heffern Determiner: Yamasako Collection Location: Sabah, Borneo 58085
|

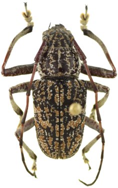
Pseudochoeromorpha sobrina Pascoe Sex: f Photographer: Dan Heffern Determiner: Yamasako Collection Location: Sabah, Borneo 58086
|

Sex: m Photographer: Robert Vigneault, Cerambycoidea Forum Collection Location: Borneo 58087
|
_Pascoe_Borneo_Rob_Vig.jpg)
Sex: f Photographer: Robert Vigneault, Cerambycoidea Forum Collection Location: Borneo 58088
|
|