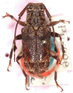
_Pascoe_BMNH_Borneo_JC.jpg)
Specimen Type: holotype Institution: BMNH British Museum Natural History, London, UK Photographer: Jim Cope Collection Location: Borneo 37655
|

Institution: LIPI Lembaga Ilmu Pengetahuan, Bogor, Indonesia Photographer: Larry G. Bezark Determiner: Makihara Collection Location: Bukit Bangkirai, Kalimantan, Indonesia 43438
|

Institution: LIPI Lembaga Ilmu Pengetahuan, Bogor, Indonesia Photographer: Larry G. Bezark Determiner: Makihara Collection Location: Bukit Bangkirai, Kalimantan, Indonesia 43439
|
_inculta_(m)_Pascoe_E_Borneo_Tabang_Bengen_River.jpg)
Sex: m Photographer: Makihara Collection Location: Tabang, Bengen River, E. Borneo 34131
|

Photographer: Robert Vigneault, Cerambycoidea Forum Collection Location: Borneo 45956
|
|